【貸土地】大阪府東大阪市若江北町
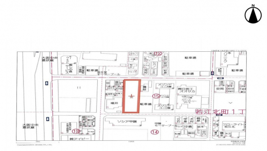
所在地 大阪府東大阪市若江北町
交通 近鉄奈良線「若江岩田」駅 徒歩11分
賃料 550,000円
共益費 -
敷金 4ヵ月
礼金 2ヶ月
築年月 - 駐車スペース -
土地面積 約24.53坪
用途地域 第一種住居地域
入居日 令和8年5月予定
仲介手数料 賃料1ヶ月分+10%
オレンジホームからのコメント
◇中央環状線までスグ◇
■接道状況
接面:16.1m/幅員:6m
※建物の建築は不可
| 所在地 | 大阪府東大阪市若江北町 | ||
|---|---|---|---|
| 交通 | 近鉄奈良線「若江岩田」駅 徒歩11分 | ||
| 賃料 | 550,000円 | 共益費 | - |
| 敷金 | 4ヵ月 | 礼金 | 2ヶ月 |
| 築年月 | - | 駐車スペース | - |
| 土地面積 | 約24.53坪 | ||
| 用途地域 | 第一種住居地域 | ||
| 入居日 | 令和8年5月予定 | ||
| 仲介手数料 | 賃料1ヶ月分+10% | ||
オレンジホームからのコメント
◇中央環状線までスグ◇
■接道状況
接面:16.1m/幅員:6m
※建物の建築は不可
Contact お問い合わせ
大阪北部、京都南部、兵庫南部エリアにある貸倉庫・貸工場・貸土地の物件情報、売買や土地活用に関するご相談などは、お気軽にご連絡ください。
-
【営業時間】10:00~18:00
【定休日】水曜日・日曜日・祝日

















